GÜZELPINAR’DA 8 PARSEL SİT ALANI
Denizli’nin Pamukkale ilçesi Güzelpınar Mahallesi’nde Roma dönemine ait arkeolojik yerleşim ve nekropol alanı tespit edilen Meşeli mevkisindeki 8 parsel, "I. ve III. Derece Sit" alanı olarak tescil edildi.
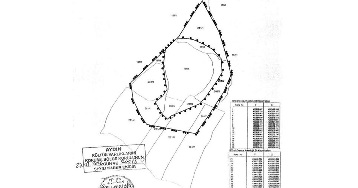
Denizli Müze Müdürlüğü, Pamukkale ilçesi Güzelpınar Mahallesinde 157 ada 1 parsel nolu taşınmaz üzerinde 5 kaçak kazı yapıldığı, 281 ada 3 parsel numaralı taşınmazın çevresindeki taşınmazlarda da korunması gereken kültür varlıkları tespit edildiğine ilişkin raporu Aydın Kültür Varlıklarını Koruma Bölge Kurulu’na sundu. Aydın Kültür Varlıklarını Koruma Bölge Kurulu Müdürlüğü uzmanlarınca bölgede yapılan incelemede, Güzelpınar Mahallesindeki Meşeli mevkisinde 281 ada 1,2,3,4,5,6,7 parsel nolu ve 157 ada 1 parsel nolu taşınmazların tamamında Roma dönemine ait arkeolojik yerleşim ve nekropol alanı tespit edildi.
I. VE III. DERECE ARKEOLOJİK SİT
Söz konusu 8 parselin "Korunması Gerekli Taşınmaz Kültür Varlıklarının ve Sitlerin Tespit ve Tescili Hakkındaki Yönetmelik" gereğince I. ve III. Derece Arkeolojik Sit potansiyeline haiz olduğu anlaşılması üzerine, bu alanın "Meşeli Mevkii Arkeolojik Yerleşimi ve Nekropolü I. ve III. Derece Sit" alanı olarak tescil edilmesi kararlaştırılırken, sit sınırları karar eki 1/2000 ölçekli haritada işaretlendiği şekliyle belirlendi. Bölgede yapılacak her türlü uygulama öncesinde kuruldan izin alınması gerektiği bildirilen kararda, Meşeli mevkisi I. ve III. Derece Arkeolojik Yerleşim ve Nekropol Alanı geçiş dönemi koruma esasları ve kullanma şartları belirlendi.

SUÇ DUYURUSUNDA BULUNULDU
Güzelpınar Mahallesindeki Meşeli Mevkii I. Derece Arkeolojik Sit kapsamında kalan 157 ada 1 parsel nolu taşınmaz üzerinde 5 adet kaçak kazıya ilişkin olarak, 2863 sayılı Kültür ve Tabiat Varlıklarını Koruma Kanununa muhalefetten kaçak kazıları yapan ve yaptıranlar hakkında İlgili Cumhuriyet Başsavcılığına suç duyurusunda bulunulmasına; İlgili Cumhuriyet Başsavcılığının görüşü alınarak taşınmazdaki kaçak kazı çukurlarının ilgili idarelerce Denizli Müze Müdürlüğü denetiminde kapatılmasına, uygulama sonucuna ilişkin ayrıntılı teknik rapor ve fotoğrafların Aydın Koruma Bölge Kurulu Müdürlüğüne iletilmesine karar verildi.




